Back to properties

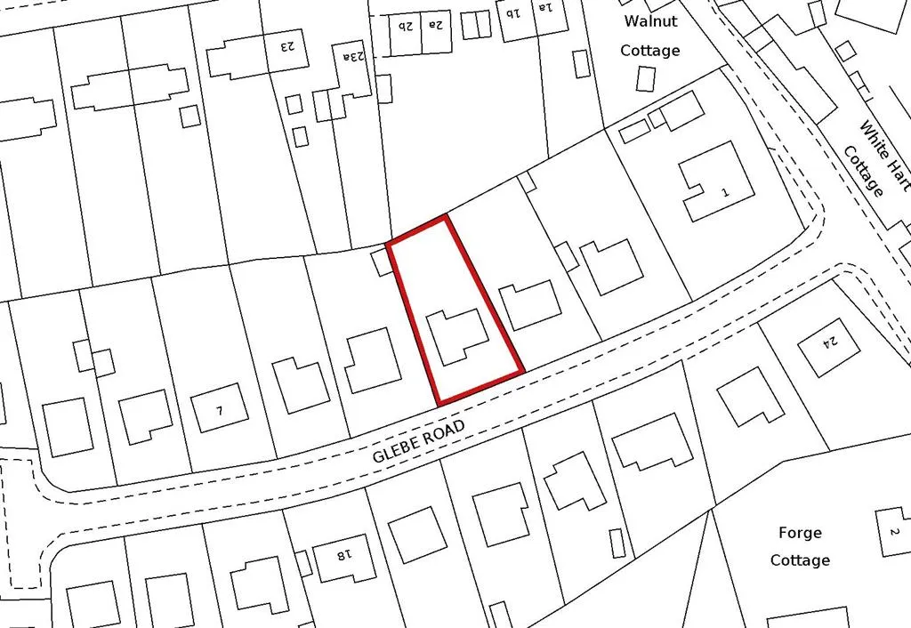
4, Glebe Road, BRANDON, Suffolk, IP27 0PY

4, Glebe Road, BRANDON, Suffolk, IP27 0PY

£115,000
Residential
About this Property
2025-06-24
115000
Traditional
Residential
Description

Freehold detached bungalow with off street parking to the front leading to detached garage and rear garden Investment: Rent Reserved £12,000 per annum By order of the LPA Receivers Video Tour: Location: The property is situated on Glebe Road which is located off Rectory Lane. Public transport links include Brandon mainline rail station together a network of local bus services serving the surrounding vicinity. Road links include the A1065, A134 and A11. Shopping amenities can be found locally within Brandon with an extensive range of shops, bars and restaurants being found in Thetford and Cambridge. Recreational pursuits can be found locally at the open spaces of Weeting Heath National Nature Reserve, Brandon Country Park and Thetford Forest. Description: Freehold detached bungalow with off street parking to the front leading to detached garage and rear garden. Accommodation: Two bedrooms, reception room, kitchen, bathroom/WC, lean-to, entrance hallway Outside: Off street parking to the front leading to detached garage and rear garden. EPC rating: E Council Tax Band: B Tenancy: The property is let on a new assured shorthold tenancy agreement (AST) for a term of 12 months from April 2025 at a rent of £1,000 per calendar month. Rent reserved: £12,000 per annum Potential: The property may be suitable for extensions to provide additional accommodation subject to planning permission and consents. Prospective purchasers must rely on their own enquires in this respect. To view: 12/6, 19/6 at 4:30pm. No booking required - Please arrive at the time stated.

Location
4, Glebe Road, BRANDON, Suffolk, IP27 0PY
More Information
Freehold
Glebe Road
Freehold detached bungalow with off street parking to the front leading to detached garage and rear garden
Planing Authority
Breckland LPA
Sold Price History
06 Jun 2003Sold£99,000
30 Nov 2007Sold£135,000
26 Sep 2024Unsold Lot SDL Property Auctions£120,000
23 Oct 2024Unsold Lot SDL Property Auctions£120,000
21 Nov 2024Unsold Lot SDL Property Auctions£120,000
21 Nov 2024Unsold Lot Streets Ahead Estates£120,000
30 Jan 2025Unsold Lot Streets Ahead Estates£120,000
30 Jan 2025Unsold Lot SDL Property Auctions£120,000
20 May 2025Withdrawn Lot Barnard Marcus Auctions£115,000

Interested in this lot?

GO TO THIS LOT

More Listings from this Auctioneer

Other listings nearby