Plot 2 East Fen Common Soham, Ely, Cambridgeshire, CB7 5JH

Plot 2 East Fen Common Soham, Ely, Cambridgeshire, CB7 5JH

£1,000
Land
Available
About this Property
13 April 2026
14 April 2026
Available
£1,000
Traditional
Land
Description

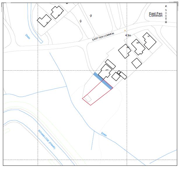
A freehold plot of land measuring approximately 0.09 acres is available for sale on East Fen Common, located on the outskirts of Soham, Cambridgeshire. The site is well-positioned for access to various facilities and amenities within Soham, as well as nearby towns including Ely, Newmarket, and the City of Cambridge. The land is suitable for a variety of purposes, subject to obtaining the necessary consents, which may include development for residential or storage use. Prospective purchasers are advised to conduct their own inquiries regarding services and planning matters.

Location
Map location for Plot 2 East Fen Common Soham, Ely, Cambridgeshire, CB7 5JH
More Information
Freehold
Planning Authority
East Cambridgeshire LPA

Interested in this lot?

GO TO THIS LOT

More Listings from this Auctioneer

DISCLAIMER

No Affiliation: PropertyAuctions.io is an independent service and is not affiliated with, endorsed by, or connected to any auction house, auctioneer, or property owner listed on this site.

Information Accuracy: All property information, including auction dates, descriptions, images, and pricing, is provided for informational purposes only and may contain errors or be outdated. We make no guarantee regarding accuracy or completeness.

Third-Party Content: Property images and descriptions are sourced from publicly available information. We do not claim ownership of content that may be copyrighted by auction houses or other parties.

Your Responsibility: You must verify all information directly with the relevant auction house before bidding or making any decisions. PropertyAuctions.io is not liable for any errors, omissions, or losses arising from use of this website.

Report Issues: If you spot an error or have copyright concerns, please report it here.

View Full Terms and Conditions