Back to properties

Tenanted Commercial

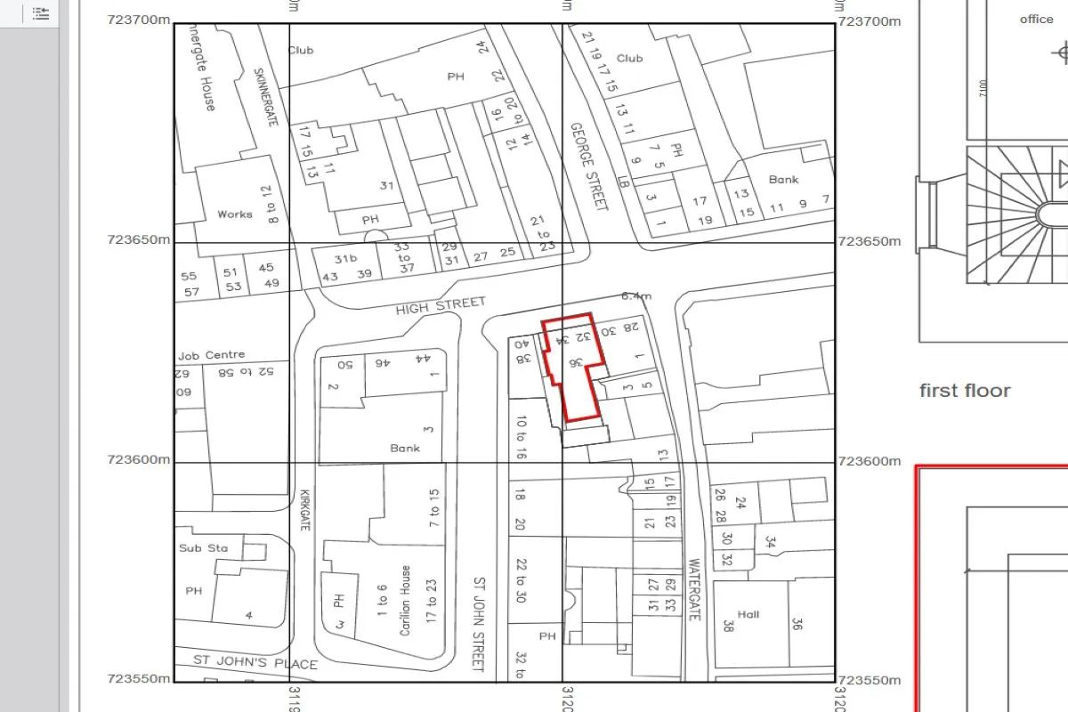
32-34 High Street, Let Licensed Restaurant, Perth, PH1 5TQ

£91,000
Commercial
About this Property
2025-11-06
91000
Traditional
Commercial
Description

tatus: Available Type: Commercial Ownership: Freehold Occupation: Tenanted Rateable Value: Search LICENSED RESTAURANT in prime Perth town centre ready let Trading As A Licensed Asian Restaurant. RENT £14,000pa. Limited company with 10 Years to run on new lease. Excellent size GROUND FLOOR 1425 square feet 1st FLOOR 315 sq feet. RENT DEPOSIT £3,600. LEASE 17th February 2025 till 16th February 2035. Internally, the premises benefit from an open plan sales area to the front, with kitchen at the rear. The first floor provides storage or office accommodation. The premises occupy a 100% prime location on Perth's pedestrianised High Street. Nearby occupiers include Chest Heart & Stroke Scotland, Breizh Restaurant, Cancer Research, White Stuff, Patterson Shoe Perth is located approximately 44 miles to the north of Edinburgh and is known as 'The Gateway to the Highlands' due to its proximity to the Cairngorms which are easily assessible via the A9. LICENSED RESTAURANT in prime Perth town centre ready let Trading As A Licensed Asian Restaurant. RENT £14,000pa. Limited company with 10 Years to run on new lease. Excellent size GROUND FLOOR 1425 square feet 1st FLOOR 315 sq feet. RENT DEPOSIT £3,600. LEASE 17th February 2025 till 16th February 2035. Internally, the premises benefit from an open plan sales area to the front, with kitchen at the rear. The first floor provides storage or office accommodation. The premises occupy a 100% prime location on Perth's pedestrianised High Street. Nearby occupiers include Chest Heart & Stroke Scotland, Breizh Restaurant, Cancer Research, White Stuff, Patterson Shoe. Perth is located approximately 44 miles to the north of Edinburgh and is known as 'The Gateway to the Highlands' due to its proximity to the Cairngorms which are easily assessible via the A9. The premises occupy a 100% prime location on Perth's pedestrianised High Street. Nearby occupiers include Chest Heart & Stroke Scotland, Breizh Restaurant, Cancer Research, White Stuff, Patterson Shoes and British Heart Foundation. Perth is located approximately 44 miles to the north of Edinburgh and is known as 'The Gateway to the Highlands' due to its proximity to the Cairngorms which are easily assessible via the A9. As a consequence Perth is a popular stop off for tourists on their route north. Full Address: 32-34 High Street, Let Licensed Restaurant, Perth, PH1 5TQ

Location
Tenanted Commercial
More Information
Freehold
High Street
Commercial
Planing Authority
Perth and Kinross
Sold Price History
06 Nov 2025Available Lot Future Property Auctions£76,000

Interested in this lot?

GO TO THIS LOT

More Listings from this Auctioneer