Plot 27 ( Part of Axeland Park ), Axes Lane, Salfords, Redhill, Surrey, RH1 5QN

Plot 27 ( Part of Axeland Park ), Axes Lane, Salfords, Redhill, Surrey, RH1 5QN

Land
Withdrawn
About this Property
05 June 2024
Withdrawn
Modern
Land
Description

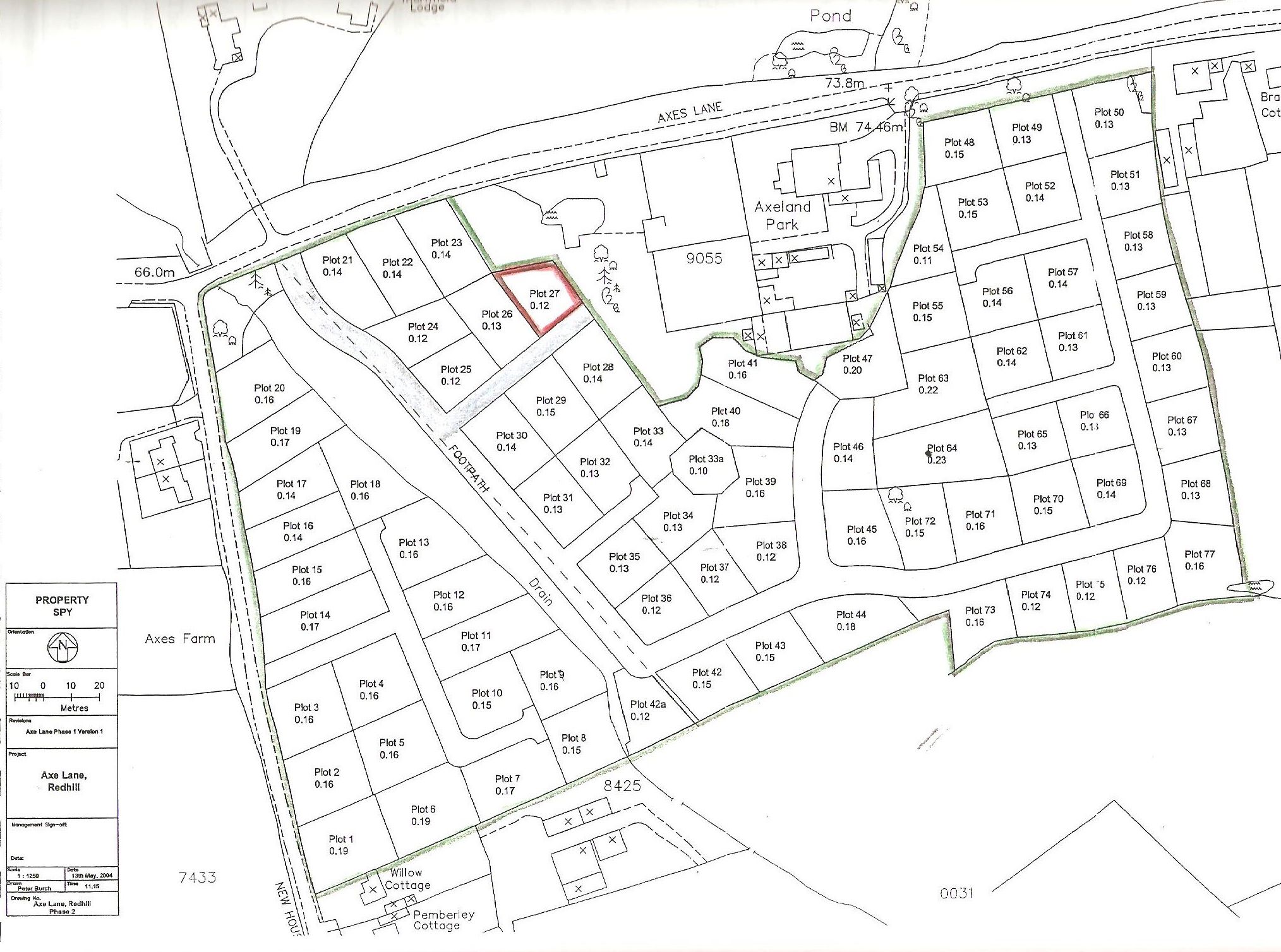
This is a freehold parcel of land measuring approximately 0.12 acres. It is part of a larger initiative consisting of 77 plots of similar sizes. The site may have future development potential subject to obtaining relevant consents and permissions.

Location
Map location for Plot 27 ( Part of Axeland Park ), Axes Lane, Salfords, Redhill, Surrey, RH1 5QN
More Information
Freehold
Planning Authority
Reigate and Banstead LPA
Address History

Interested in this lot?

GO TO THIS LOT

More Listings from this Auctioneer

Other listings nearby

DISCLAIMER

No Affiliation: PropertyAuctions.io is an independent service and is not affiliated with, endorsed by, or connected to any auction house, auctioneer, or property owner listed on this site.

Information Accuracy: All property information, including auction dates, descriptions, images, and pricing, is provided for informational purposes only and may contain errors or be outdated. We make no guarantee regarding accuracy or completeness.

Third-Party Content: Property images and descriptions are sourced from publicly available information. We do not claim ownership of content that may be copyrighted by auction houses or other parties.

Your Responsibility: You must verify all information directly with the relevant auction house before bidding or making any decisions. PropertyAuctions.io is not liable for any errors, omissions, or losses arising from use of this website.

Report Issues: If you spot an error or have copyright concerns, please report it here.

View Full Terms and Conditions