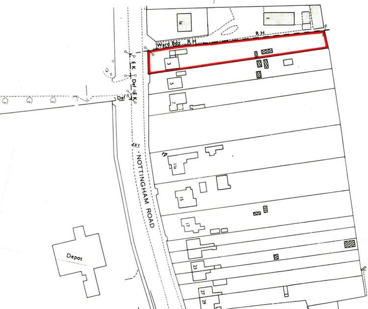
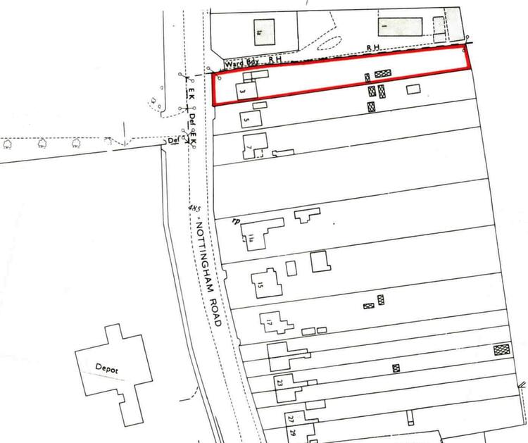
3 Nottingham Road, Somercotes, Alfreton, Derbyshire DE55 4HQ

3 Nottingham Road, Somercotes, Alfreton, Derbyshire DE55 4HQ

£210,000
Residential
Unsold
About this Property
2025-03-27
Unsold
£210,000
Traditional
Residential
Description

Detached house requiring improvement and modernization, situated on a plot of approximately 0.34 acres. The property has three bedrooms, a family bathroom, and a gas central heating system with uPVC double glazing. The ground floor includes an entrance hallway, a front sitting room with a fireplace, an open plan dining kitchen, and a large P-shaped conservatory. The exterior features a neat front garden, a driveway leading to a double garage measuring approximately 24ft 5 x 15ft, and a substantial rear garden with a patio area and lawn. The property is freehold and offers immediate vacant possession.

Location
3 Nottingham Road, Somercotes, Alfreton, Derbyshire DE55 4HQ
More Information
Freehold
Nottingham Road
Planning Authority
Amber Valley LPA
Property History
29 Sep 1995Sold£60,000
20 Feb 2004Sold£150,000
21 Nov 2024Unsold Lot SDL Property Auctions£230,000
30 Jan 2025Sold Lot SDL Property Auctions£230,000
30 Jan 2025Unsold Lot Streets Ahead Estates£210,000
10 Apr 2025Sold£235,000

Interested in this lot?

GO TO THIS LOT
DISCLAIMER

No Affiliation: PropertyAuctions.io is an independent service and is not affiliated with, endorsed by, or connected to any auction house, auctioneer, or property owner listed on this site.

Information Accuracy: All property information, including auction dates, descriptions, images, and pricing, is provided for informational purposes only and may contain errors or be outdated. We make no guarantee regarding accuracy or completeness.

Third-Party Content: Property images and descriptions are sourced from publicly available information. We do not claim ownership of content that may be copyrighted by auction houses or other parties.

Your Responsibility: You must verify all information directly with the relevant auction house before bidding or making any decisions. PropertyAuctions.io is not liable for any errors, omissions, or losses arising from use of this website. Report Issues: If you spot an error or have copyright concerns, please report it here.

View Full Terms and Conditions

More Listings from this Auctioneer

Other listings nearby