Back to properties

2-3 Westminster Road, Wareham, Dorset, BH20 4SW

2-3 Westminster Road, Wareham, Dorset, BH20 4SW

£850,000
Mixed Use
About this Property
2025-09-24
850000
Traditional
Mixed Use
Description

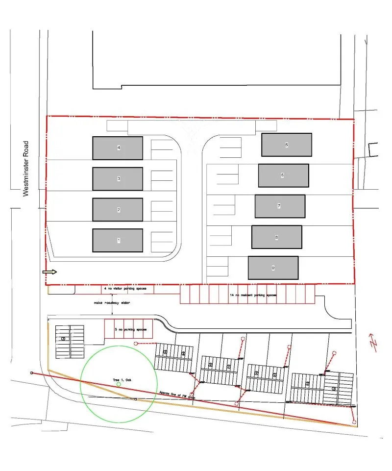
Warehouse and Offices with Development Potential Fantastic opportunity to purchase this detached, circa 19,000 sq ft, warehouse and office building located just outside of Bournemouth (17 miles). The property is in need of refurbishment and also offers potential for residential development subject to the relevant planning permissions. Accommodation approx sq ft: Ground floor factory 15,606 Ground floor offices 1,874 First floor offices 1,802 Total gross internal area approx. 19,282 Specifications: Factory Brick outer, blockwork inner wall construction » Pitched roof, including daylight panels » Concrete factory floor » 4.12m internal eaves height » 5.13m ridge height » Steel portal frame » Four 3m wide x 3m high loading doors in side elevations » 6m wide x 2.8m loading door in front elevation » 3 phase electricity and gas Two Storey Offices Flat roof » Male and female WCs » Carpeted offices » Central heating » Windows at ground and first floor level External Concrete forecourt » Concrete/gravel loading area Please note that the photos are not recent. The property is now in need of refurbishment. Viewing available on request.

Location
2-3 Westminster Road, Wareham, Dorset, BH20 4SW
More Information
Freehold
Westminster Road
Planing Authority
Dorset LPA
Sold Price History
12 Nov 2025Available Lot Auction House London£800,000

Interested in this lot?

GO TO THIS LOT

More Listings from this Auctioneer

Other listings nearby